ここが注目ポイント!
- 〇富士山を望む絶景物件・広々ウッドデッキ付き
- 〇薪ストーブ完備・人気の平屋建て
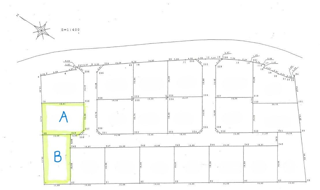
- 〇二区画所有、建物がない方の敷地はご自由にご利用いただけます
田舎暮らし 菜園 富士山 山々 薪スト 標高 民泊
日本マウントより
- ◇周辺環境◇
・エネオス朝霧高原SS 975m
・富士ケ嶺公園 約1,279m
・ドッグハイキングパークペットシア 約1,275m
・富士本栖湖リゾート 約1,912m
・朝霧高原 約2,948m
標高: およそ1056m
*標高は必ずしも正確ではございませんので予めご了承ください。
Gallery
※クリックすると画像が別ウィンドウで最大表示します。
※図面と現況が相違する場合は現況を優先させて頂きます。
※当社の写真を無断で使用、アップロードすることはご遠慮ください。
※Unauthorized copying and replication of the contents of this site, text and images are strictly prohibited.
※当社の写真を無断で使用、アップロードすることはご遠慮ください。
※Unauthorized copying and replication of the contents of this site, text and images are strictly prohibited.
物件概要
| 物件No. | 5396 | ||
|---|---|---|---|
| 所在地 | 山梨県南都留郡富士河口湖町富士ヶ嶺 | ||
| 交通 | 富士急行「河口湖」駅より 約22.5km |
||
| 土地面積 | (公簿)534.00m2 | 他に私道面積 | m2 |
| 建物構造 | 木造 | ||
| 建物規模 | 平屋建 | 建物面積 | 82.00m2 |
| 土地権利 | 所有権 | 地目 | 宅地 |
| 都市計画 | 都市計画区域外 | 用途地域 | 無指定 |
| 建ぺい率 | 70% | 容積率 | 400% |
| 地勢 | 平坦 | 環境 | |
| 他の制限 | 公園法普通区域内 | ||
| 築年月 | 2004年 1月 | 駐車場 | あり駐車スペース2台分 |
| 現況 | 空家 | 引渡日 | 即時 |
| 接道状況 | |||
| 設備 | 公営水道 東京電力 プロパンガス 浄化槽 3口以上コンロ オートバス ウッドデッキ 薪ストーブ 和室 洋室 広縁 区画整理地内 庭10坪以上 | ||
| 引渡条件 | 現況渡し | ||
| 備考 |
※公園法普通区域内 ※看板設置や再建築の際は届け出が必要 |
||
| 民泊 |
民泊可能 別荘地外で特に制限はないはずですが、近隣に住宅がございます。また現在は別荘としての利用で、民泊は行っておりません。 |
||
| 取引態様 | 仲介 | ||
お電話される方は、「日本マウントのホームページを見て、物件No.5396」とお伝えいただくとスムーズにお応えできます。
MAP
【ご注意】現地の場所は必ずしも正確ではなく、”大体の場所”を示していることがありますので、一度お問い合わせください。
携帯でこの物件を確認したい方は、こちらのQRコードをご利用ください。
この物件の担当者
東久保
ひとこと
この物件に関連するものをピックアップしてみました。
田舎暮らし物件・中古別荘の不動産売買仲介は日本マウントへ




















